沖縄ダイビングショップ シェルシー のギャラリー
沖縄ダイビングショップ シェルシー のギャラリー
沖縄ダイビングショップ シェルシー のギャラリー
沖縄ダイビングショップ シェルシー のギャラリー
沖縄ダイビングショップ シェルシー のギャラリー
沖縄ダイビングショップ シェルシー のギャラリー
沖縄ダイビングショップ シェルシー のギャラリー
沖縄ダイビングショップ シェルシー のギャラリー

沖縄ダイビングショップ シェルシー

發表口碑·經驗談

沖繩潛水店雪莉的口碑·經驗談一覽
(2頁)

非註冊用戶ありがとうございました。

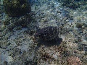
こんなにも近くにウミガメがいるなんて驚きです‼︎

5.0
參加日期: 2025 年 06 月
浮潛
輕裝潛水
非註冊用戶

担当のお兄さんが最高でした!!!

5.0
參加日期: 2025 年 06 月
浮潛
輕裝潛水
非註冊用戶初!シュノーケリング☆

沖縄の海がこんなに綺麗と思いませんでした…

船使わなくてもこんな近くにウミガメを見れて嬉しかったです(*^^*)

5.0
參加日期: 2025 年 06 月
浮潛
輕裝潛水
非註冊用戶とにかく最高でした!!

ウミガメをじっくり観察できて、写真も動画も無料で貰えて最高でした!
インストラクターのお兄さんは参加していた皆さんにお声がけしていて、とても親切な方でした!
また沖縄に来たら絶対に遊びに行きます!
ありがとうございました!

5.0
參加日期: 2025 年 06 月
浮潛
輕裝潛水
非註冊用戶シュノーケリング初体験

沖縄旅行に初めて来た母にシュノーケリングをさせてあげたくてきました。天気の関係で日程や場所を変更しての出会いでした。思う存分楽しんで、もう体力的に限界だなと思うまで楽しみました。すごい親切で、68歳の母も大変楽しんでいて、感動ばかりでした。ウミガメさんにも会えて最高の思い出になりました。次回来ましたら、またこちらでお願いしたいと思います。

5.0
參加日期: 2025 年 05 月
浮潛
輕裝潛水
非註冊用戶

至れり尽くせりでした!

5.0
參加日期: 2025 年 05 月
浮潛
輕裝潛水
非註冊用戶

シュノーケリング、思ってた以上に楽しかったです。
ガイドさんがすごくフレンドリーで、丁寧に教えてくれたので安心して楽しめました。
あと、写真と動画もすごくキレイに撮ってくれて嬉しかったです。
地元のおすすめのレストランまで教えてもらって、嬉しかったです

5.0
參加日期: 2025 年 05 月
浮潛
輕裝潛水
非註冊用戶思い出に残る最高のシュノーケルになりました。

家族4人でシュノーケルを体験しました。小3の娘が海に入るのを恐がってしまってグズってたのですが、ガイドの方が笑顔で優しく接して下さりとても有り難かったです。
海ガメは見れるのかなぁって半信半疑でしたが、本当に見ることが出来て感動しました!
その後魚のエサやり体験もしたのですが、色とりどりの綺麗な魚達が凄く沢山居て、エサを上げる事が出来てまたまた感動しました!!
とにかくガイドさんが優しくてシュノーケル初心者でも丁寧に教えて下さるので、安心出来ます。娘が大きくなって、海を恐がらなくなったら改めて来たいなと思います。
それ程素晴らしかったですよ。

5.0
參加日期: 2025 年 04 月
浮潛
輕裝潛水
非註冊用戶子供連れ・初めてのシュノーケリング

人生初のシュノーケリングをお願いしました。当初は青の洞窟も検討していたのですが、比較的浅く、底の見える海のほうが泳げない5歳の息子にとっても恐怖心が少ないだろうということで、こちらに決めました。
結果は大正解でした。インストラクターの方が非常に優しい方で、子供の扱いにも慣れており親切丁寧でした。
シュノーケリング自体も、集合時間に遅れてしまったにも関わらずタップリと体験させていただき非常に満足出来るものでした。何より子供が楽しそうにしていたのが良かったです。終始インストラクターの方が面倒を見てくれ、帰り際ギリギリまでお喋り大好きな息子にずっと付き合いくれていました。本当に感謝です。とても良い思い出となりました。

5.0
參加日期: 2025 年 04 月
浮潛
輕裝潛水
非註冊用戶大満足

初めてのシュノーケリングでしたがカラフルな熱帯魚に出会えて最高に楽しかったです。ウミガメやクマノミなどが見られるスポットを把握されていてるようで楽しめるように工夫して頂いているのが良かったです。
着替えもシャワーもスムーズでした。非日常を味わうことが目的でしたので大満足でした。

5.0
參加日期: 2025 年 04 月
浮潛
輕裝潛水
非註冊用戶ウミガメ見れた!

ウミガメがすぐ見れましたし、お兄さんの対応もとても良かったです!

5.0
參加日期: 2025 年 04 月
浮潛
輕裝潛水
非註冊用戶最高に楽しかったです

今回ジョン万ビーチでウミガメシュノーケルを体験させていただきました。
今までなかなかウミガメに会えなかった私ではありますが、開始5分程度でウミガメに遭遇できました!!
今まで色々なショップで体験ダイビングやシュノーケルをしてきましたが今回のインストラクターの野内さんが一番良かったです。
沖縄に行った際にはまた必ず利用させていただきたいと思います。

5.0
參加日期: 2025 年 03 月
浮潛
輕裝潛水
沖縄ダイビングショップ シェルシー のギャラリー
沖縄ダイビングショップ シェルシー のギャラリー
非註冊用戶

3月中旬に参加させていただきました。気温が低く、風もある中での参加でしたが、ガイドの方が配慮してくださり、素敵な思い出を作れました。初めてということもあり不安もありましたが、無事楽しくウミガメも見ることが出来てよかったです。ウミガメと一緒に泳いだり、魚に餌をあげたり旅行初日でしたが大満足でした。とても親切に対応してくださり、おすすめの観光地や飲食店などのお話もしていただきました。本当に参加して良かったです。

5.0
參加日期: 2025 年 03 月
浮潛
輕裝潛水
沖縄ダイビングショップ シェルシー のギャラリー
沖縄ダイビングショップ シェルシー のギャラリー
非註冊用戶

ありがとうございました^^

5.0
參加日期: 2025 年 03 月
浮潛
輕裝潛水
非註冊用戶

シュノーケリングを初めて挑戦させて頂きました!

朝9時のを予約させて頂きましたが、干潮・満潮が激しい日だったらしく波が高い時間帯だったみたいで、10時30だと海の透明度も高く、波も落ち着いてるとのことで次の予定も特に決めていなかったため変更させて頂きました。

変更して大正解!!!

海は綺麗だし、潜って5分後にはウミガメさんと出会えて至近距離で動画も撮って頂けて2匹目のウミガメさんにも出会えて、挑戦して良かったと思いました!
小魚さんが沢山集まるポイントに移動し、餌やりもやれて目の前でご飯を食べるお魚さんが可愛かったです。
オプションで水中カメラをお借りして、何枚も写真撮って、とても綺麗なお写真を頂きましたました!

インストラクターさんも手とり足とり丁寧に教えてくださり、カメさんがいるポイントを教えてくださったり、ゆっくり進んでくれたので恐怖心より好奇心や楽しい気持ちが勝ちました!
めちゃくちゃ綺麗でほんと体験して良かったと思いました。
沖縄のオススメ料理屋さんも教えて頂き、本当に美味しかったです!
本当にありがとうございました。

また沖縄に旅行行くことがあったらお願いしたいと思いました!
本当にありがとうございました!

5.0
參加日期: 2025 年 03 月
浮潛
輕裝潛水
沖縄ダイビングショップ シェルシー のギャラリー
沖縄ダイビングショップ シェルシー のギャラリー
沖縄ダイビングショップ シェルシー のギャラリー
沖縄ダイビングショップ シェルシー のギャラリー
沖縄ダイビングショップ シェルシー のギャラリー
非註冊用戶

おさかな天国&ウミガメとタートル・トーク!
スタッフさんの言った通り穴場スポットはまた行きたくなりますね!!
ありがとうございました!!

5.0
參加日期: 2025 年 03 月
浮潛
輕裝潛水
非註冊用戶ありがとうございました!

素敵なお兄さんが担当してくれました!
ウミガメも最高でしたが、お兄さんの親切が何より嬉しかったです。
ありがとうございました♪

5.0
參加日期: 2025 年 03 月
浮潛
輕裝潛水
非註冊用戶魚の餌やり♪♪

亀さんと魚の水族館って感じでした(^^)
沖縄の海はどこ行っても素晴らしいけど、ここのポイントは別格でした!!!

5.0
參加日期: 2025 年 03 月
浮潛
輕裝潛水
非註冊用戶良かった!

ウミガメとたっぷり泳げました!
スタッフさんも優しくしてくれて、最後の最後まで気遣いが素晴らしかったです!
以前、他のマリンショップさんで嫌な思いしたので、今回も心配でしたがそんな事なかったです!
またお世話になります。ありがとうございました♪

5.0
參加日期: 2025 年 03 月
浮潛
輕裝潛水
非註冊用戶一生の思い出ができます

本島でシュノーケル体験を行っているショップはいくつかありとても悩みましたが、レビューを参考にこちらのシェルシーさんを選びました。レビューを信じて良かった!これ以上ない最高の一日になりました!

家族4人全員がシュノーケル初挑戦でしたが、インストラクターのお兄さんが装備の付け方から親切に指導してくれます。マリンスーツに加えライフジャケットも用意してくださるので、必ず浮くという安心感からパニックになることもありませんでした。小学生の子どもたちにも優しく声をかけてくださり、本当にありがたかったです。ウミガメを間近で見て、海の美しさを全身で感じ、シュノーケルが終わる頃にはすっかり海に魅了されていました。

当日ですが、水中カメラを借りるのがおすすめです!防水ケースに入れたiPhoneも持っていったのですが、海の中ではシャッターを押すことができませんでした。(動画は、水面から出てスタート→水中撮影→水面から出てストップ、で可能)水中カメラはレバーを下げるだけで簡単に撮影できて画質もとても良かったので、お借りして良かったです。お兄さんが撮ってくれた写真や動画もとても綺麗で、ウミガメと並んで映った動画は一生の宝物です。

次回もぜひシェルシーさんにお願いしたいと思います。夢のような時間を本当にありがとうございました!

5.0
參加日期: 2025 年 03 月
浮潛
輕裝潛水

沖縄ダイビングショップ シェルシー詳情

認證機構 冲绳县公共安全委员会
投保詳情 PADI保險5000萬日元
執照·資格認證 PADI 潛水教練、一級小型船舶、特殊小型船舶海事代理、潛水員
加盟團體·協會 帕迪
在籍員工數 2
教練、指導員數 1
安全保障 我們每次都徹底檢查客戶使用的潛水設備的操作。顧客和店員的身體狀況檢查和健康確認。有無海況判斷。如果您覺得有危險,立即停止判斷。我們正在以安全第一的方式進行巡迴演出。

沖縄ダイビングショップ シェルシー的營業時間

地址
〒9010401
沖繩縣島尻郡八瀨町十嘉平 1145-9 Felice II 3F
營業時間 8:00-20:00
休息日
ホームページ

請稍候

按活動/經驗搜索
載入中